| Iron Ore Mine Mine de fer Eisenerzgrube |
Rëmeleng - Rumelange - Rümelingen |
![]() |

Quai Lachfeld, Rümelingen (Photo: 25.04.1991 Marcel Schlim)
| Historique - Geschichtlicher Überblick |
Fondation par - Gründung durch : |
|
| 12.12.1895 | Expédition de 10 t (wagon N° 41255) boulets à la Société Hauts-Fourneaux de et à Ottange-Rumelange au quai Lachfeld, Tétange par la Société Anonyme des Charbonnages de Wérister, Beyne - Heusay |
| 20.8.1920 | Tetingen. 20. Aug. Verunglückt. Am Dienstag nachmittag spielte der 9 Jahre alte Sohn der Witwe Köhler mit einigen Altersgenossen auf dem Abladekai zu Lachfeld. Köhler kroch unter einen dort stehenden Eisenbahnwagen. Im selben Augenblick wurde der Wagen beigestoßen und der Knabe unter dem Wagen zu Boden geworfen und ihm die rechte Hand oberhalb des Handgelenks abgetrennt. (t: 20.8.1920) |
| 1920 | Seit einiger Zeit kam von der Grube zu Lachfeld beständig Nutzholz abhanden Dieser Tage erwischte der Industrielle Schlesser 2 jugendliche Holzdiebe, die verhaftet wurden. (t: 13.9.1920) |
| 4.4.1923 | Der Industrielle Schlesser stellte dieser Tage fest, daß auf dem Banne Rümelingen auf Grube Lachfeld eine Holzbaracke, die zum Aufbewahren von Handwerkgeschirr diente, verschwunden war. (t: 4.4.1923) |
| 3.1942 | (Mine Hutberg, Quai Lachfeld Waxweiler - Bouchet) |
| Tétange | Neu & Stauder Minières Berens |
Quai Lachfeld | Wagner & Jungers Olinger & Wagner Hoferlin B. |
1955 | Quai privé ou publique à l'extérieur de la gare |

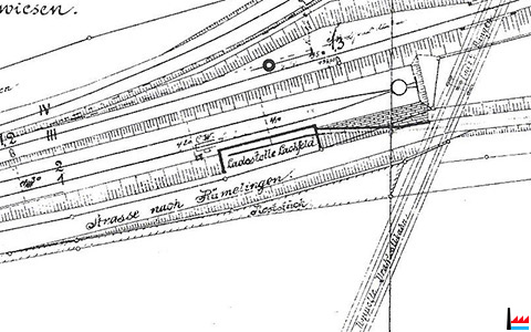
Holzladerampe (links) und Erzladestelle (rechts) Lachfeld - Plan von 1897 (Collection: Marcel Schlim)
Dierwiesen -
Oben rechts: Bahn nach Öttingen
Mitte rechts: Bahn nach Langengrund


Expédition de 10 t (wagon N° 41255) boulets à la Société Hauts-Fourneaux de et à Ottange-Rumelange au quai Lachefeld, Tétange par la Société Anonyme des Charbonnages de Wérister, Beyne - Heusay - 12.12.1895 (Collection: industrie.lu)
| Bibliographie | |||||||
| Titel - Titre |
|
|
|
|
|
|
|
|
This is not the official page of this company / person. Any information or picture completing these pages is welcome! For more information just send us an e-mail. Ceci n'est pas la page officielle de cette firme / personne. Toute information ou photo pouvant compléter ces pages est la bienvenue! Pour des informations supplémentaires, veuillez nous envoyer simplement un e-mail. Dies ist nicht die offizielle Seite dieser Firma / Person. Jede Information oder jedes Foto, welche(s) diese Seiten vervollständigen, ist herzlich willkommen! Für mehr Informationen, senden Sie uns einfach eine E-mail. |
| Created by / Créé par / Copyright:jmo |